KINGSTON, 28 oct (Reuters) -Los jamaicanos se preparaban el martes para el huracán Melissa, la peor tormenta que haya azotado la isla caribeña este siglo, que se acercaba a tierra amenazando con mareas ciclónicas catastróficas, inundaciones repentinas y deslaves.
“No apuesten contra Melissa porque perderán”, advirtió el ministro del Gobierno jamaicano, Desmond McKenzie, mientras las autoridades imploraban a los residentes que buscaran protección en refugios y fortificaran sus residencias.
Cientos de miles de jamaicanos estaban ya sin electricidad cuando Melissa se acercaba el martes por la mañana, azotando la costa con violentas ráfagas y aguaceros torrenciales.
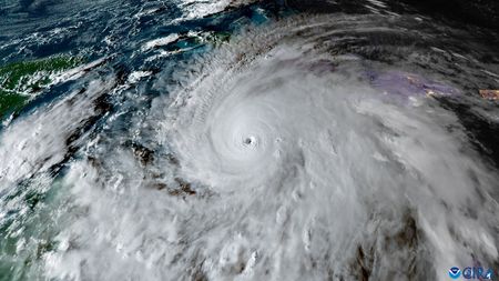
La tormenta, que ya ha alcanzado la categoría 5, la más fuerte posible en la escala Saffir-Simpson, estaba a unos 55 kilómetros al sur del balneario de Negril a las 1600 GMT y sus vientos sostenidos alcanzaban los 295 kilómetros por hora, pero con ráfagas más fuertes informó el Centro Nacional de Huracanes de Estados Unidos (CNH).
El centro de huracanes, que tiene su sede en Miami, advirtió de que era probable un “fallo total de las estructuras” por donde pase Melissa.
“Es una situación catastrófica en Jamaica”, dijo Anne-Claire Fontan, especialista en ciclones tropicales de la Organización Meteorológica Mundial (OMM), en una rueda de prensa celebrada en Ginebra. “Para Jamaica, será sin duda la tormenta del siglo”.
Se esperan marejadas ciclónicas de hasta cuatro metros, dijo, y precipitaciones que superarán los 70 centímetros o aproximadamente el doble que en toda una temporada de lluvias normal.
El Centro Nacional de Huracanes de EEUU (CNH) espera que la tormenta azote Jamaica a primera hora del martes y luego cruce el este de Cuba para desplazarse sobre Bahamas y las Islas Turcas y Caicos el miércoles.
El primer ministro de Bahamas, Philip Davis, ha ordenó la evacuación de los habitantes del sur y el este del archipiélago.
En Cuba, las autoridades dijeron que habían evacuado a más de 500.000 personas de las zonas vulnerables a los vientos y las inundaciones.
LA TORMENTA SE INTENSIFICA AL APROXIMARSE
El lento movimiento de Melissa sobre las aguas inusualmente templadas del Caribe ha contribuido a aumentar su tamaño y fuerza, según meteorólogos del CNH, amenazando a Jamaica con días de vientos y lluvias catastróficos nunca vistos.
La Federación Internacional de la Cruz Roja (FICR) dijo que se esperaba que hasta 1,5 millones de personas en Jamaica se vieran directamente afectadas por la tormenta.
“Hoy será un día muy difícil para decenas de miles, si no millones, de personas en Jamaica”, dijo Necephor Mghendi, de la FICR, por videoconferencia desde Puerto España, en Trinidad y Tobago.
“Los tejados van a ponerse a prueba, las aguas de las inundaciones van a subir, el aislamiento se va a convertir en una dura realidad para muchos”. Se han habilitado más de 800 refugios para los evacuados de las zonas más afectadas, añadió.
ORDEN DE EVACUACIÓN
El lunes, el primer ministro, Andrew Holness, había ordenado la evacuación obligatoria de algunas zonas del sur de Jamaica, incluida la histórica ciudad de Port Royal.
Advirtió de que habrá daños a las tierras de cultivo, las viviendas y las infraestructuras de la isla, que tiene un tamaño similar al de Puerto Rico, y cuyos principales aeropuertos se encuentran muy cerca del nivel del mar.
“No hay infraestructuras en la región que puedan resistir un huracán de categoría 5”, dijo.
(Información de Emma Farge en Ginebra, Zahra Burton en Kingston, Dave Sherwood en La Habana y Sarah Morland en Ciudad de México; edición de Kirsti Knolle, Ros Russell y Bernadette Baum; edición en español de Jorge Ollero Castela y Javier López de Lérida)













